Watch The Tallahassee Hurricane Live: Updates & Coverage

L.Audent 109 views
Watch The Tallahassee Hurricane Live: Updates & Coverage

Tallahassee Hurricane Live: Staying Informed and Safe

Hey everyone! With the threat of a hurricane looming over Tallahassee, staying informed and prepared is absolutely crucial. This article is your go-to guide for Tallahassee hurricane live footage , providing you with real-time updates, safety tips, and everything else you need to weather the storm. We’ll be covering everything from live streams and official reports to practical advice on how to protect your home and loved ones. Think of this as your central hub for all things related to the approaching hurricane, ensuring you have access to the most current information available. Our main goal is to keep you safe and informed, so let’s dive in!

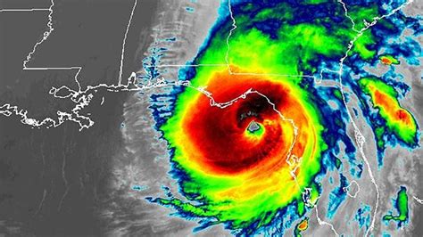
Understanding the Threat: The Importance of Tallahassee Hurricane Live Footage

When a hurricane approaches, the urgency for accurate and up-to-the-minute information becomes paramount. This is where Tallahassee hurricane live footage steps in, offering a direct view of the storm’s impact and progress. Why is this so important? Well, it’s about making informed decisions. Seeing the conditions firsthand allows you to understand the severity of the situation better. You can assess whether to stay put, evacuate, or take immediate safety precautions. Local news channels and weather agencies provide live streams that show the current state of affairs, including wind speeds, rainfall intensity, and any immediate damage. These visuals aren’t just for show; they help you gauge the potential risks to your property and the safety of your family. Furthermore, live footage often includes updates from emergency responders, offering valuable insights into rescue operations, road closures, and areas most affected. Beyond the immediate risks, live coverage also helps you mentally prepare for what’s to come. Watching a storm unfold can be stressful, but being informed reduces uncertainty and panic. You get a real-time sense of what’s happening, allowing you to react calmly and logically. This is especially vital for those who may have limited access to other news sources or are unable to monitor the storm continuously. So, keeping an eye on Tallahassee hurricane live footage is not just about watching the weather; it’s about empowering yourself with the knowledge needed to stay safe and make the best decisions during a hurricane.

Where to Find Reliable Tallahassee Hurricane Live Footage

Alright, so you’re ready to find some reliable live footage. Where do you look? The good news is, there are several trustworthy sources that you can rely on during a hurricane. Firstly, local news stations are your primary go-to. Channels like WCTV, WTXL, and WFSU are almost always broadcasting live coverage during a hurricane. These stations typically have reporters on the ground, cameras set up in key locations, and expert meteorologists providing real-time analysis. Their websites and social media platforms are also excellent places to find live streams. Secondly, the National Weather Service (NWS) is a must-follow. The NWS provides crucial data such as radar imagery, weather alerts, and official forecasts. Their website and social media accounts are great for staying updated on warnings and any potential threats. Thirdly, governmental and emergency management agencies also provide live updates and footage. The City of Tallahassee and Leon County usually have dedicated pages and social media accounts where you can find the most recent information, including evacuation routes and shelter locations. Finally, don’t forget about social media. While it is important to be cautious about information accuracy, platforms like Twitter and Facebook often have live videos from residents and local organizations. Just make sure to cross-reference the information with more reliable sources before acting on it. Always double-check information from multiple sources to get a comprehensive and accurate understanding of the storm. Being able to access Tallahassee hurricane live footage can make all the difference when it comes to staying safe and making informed decisions. Don’t just rely on one source—check multiple platforms to get the whole picture.

Preparing for the Storm: Actionable Steps to Take

Okay, now that you know where to find the live footage and understand its importance, let’s talk about getting prepared! Being proactive is key to riding out a hurricane. The first and most critical step is to have an emergency kit. This kit should include essentials like water (at least one gallon per person per day for several days), non-perishable food, a battery-powered or hand-crank radio, a flashlight, first-aid supplies, and any necessary medications. Don’t forget to include a whistle to signal for help. Next, secure your home. This means trimming trees and shrubs around your house, bringing in outdoor furniture, and covering windows with storm shutters or plywood. If you don’t have shutters, you can tape your windows; though, this is less effective. Inspect your roof and repair any leaks. Clean out your gutters so water can drain properly. Another vital aspect of preparation is knowing your evacuation routes. Identify several routes and know where the nearest shelters are located. Familiarize yourself with the evacuation procedures outlined by local authorities. Make sure your car has a full tank of gas, and have cash on hand, as ATMs might be out of service. Create a family communication plan. Decide how you will contact each other, and designate a meeting place in case you get separated. Share this plan with all family members, including kids. And finally, stay informed! Keep an eye on the Tallahassee hurricane live footage for the latest updates on the storm’s path and intensity. Listen to local news for any evacuation orders or safety instructions. By taking these steps, you greatly increase your chances of staying safe and minimizing the storm’s impact. The more prepared you are, the less stressed you will be when the storm hits.

Essential Supplies to Have Ready

Let’s dive a bit deeper into what you should have in your emergency kit. Water is absolutely critical; plan for at least three days of supply, more if possible. Food should include non-perishable items like canned goods, energy bars, and dried fruits. A manual can opener is also a necessity. Don’t forget about a first-aid kit; make sure it contains bandages, antiseptic wipes, pain relievers, and any personal medications you require. Lighting is essential; flashlights with extra batteries are a must-have. Consider a battery-powered or hand-crank radio to get updates even if the power goes out. Also, ensure you have basic tools like a wrench or pliers to turn off utilities if necessary. Personal hygiene items such as soap, toothbrush, toothpaste, and sanitary supplies shouldn’t be overlooked. Extra clothing and blankets are helpful, especially if you have to evacuate. Cash is important because electronic payment systems might not work. Important documents, such as insurance policies, medical records, and identification, should be kept in a waterproof bag. If you have pets, don’t forget their food, water, and any necessary medications. Charging your electronic devices beforehand can also be useful, as well as a portable charger. By having these essentials ready, you’ll be well-prepared to face the challenges a hurricane brings. Review and replenish your supplies regularly, and make sure everything is within easy reach. Preparing an emergency kit may seem like a chore, but it can provide comfort and security during a stressful situation. Making these preparations is an investment in your safety.

During the Hurricane: Staying Safe While the Storm Rages

Once the storm hits, the focus shifts to staying safe and minimizing risk. The first and most important piece of advice: stay indoors. Find a safe room, such as an interior room without windows, and stay there. If you don’t have an interior room, go to the lowest level of your home. Stay away from windows, doors, and exterior walls. If winds get severe, get under a sturdy table or desk and hold on to it. Listen to Tallahassee hurricane live footage and official weather updates regularly for any changes in the storm’s intensity or direction. Do not go outside until authorities declare it is safe. Beware of the “eye” of the storm, which can give you the false impression that the storm is over. The winds will increase rapidly again when the eye passes. Be mindful of downed power lines and report them to the utility company. Never touch them, and always assume they are live. Be cautious of floodwaters; they can be contaminated and hide hazards. If you must evacuate, do so only if instructed by local authorities. Follow the designated evacuation routes. If you are in a shelter, follow all instructions from shelter staff. Communicate with your family, if possible. Let them know where you are and that you’re safe. Stay calm; panic doesn’t help anyone. Trust the experts and adhere to their guidance. Staying informed via Tallahassee hurricane live footage and staying calm will greatly increase your chances of getting through the storm safely. Safety is the top priority during a hurricane; always prioritize it. Remembering these basic guidelines can make a huge difference in protecting you and your loved ones.

What to Do if You Need to Evacuate

If you’re ordered to evacuate, it’s critical that you act quickly and methodically. First, gather your emergency kit and any important documents. Ensure that your car has a full tank of gas and that you have cash on hand. Follow the designated evacuation routes provided by local authorities. Keep your radio on and listen for any updates or changes in evacuation procedures. Before leaving, turn off your utilities (water, gas, and electricity) to reduce the risk of further damage to your home. Lock your doors and windows. If you’re unsure where to go, head to a designated shelter. These shelters are usually located in public schools, community centers, or other safe buildings. When you arrive, register with the shelter staff and follow their instructions. Take only essential items with you to the shelter, as space will be limited. It is important to remember that evacuation is a safety measure, so do not hesitate if authorities issue an evacuation order. While at a shelter, continue to monitor Tallahassee hurricane live footage and other official sources for updates. Stay informed and follow the instructions of emergency personnel. Once the storm passes and authorities declare it safe, you can return home. Check your home for any damage before entering. If you encounter any hazards, such as downed power lines, report them immediately. Evacuating might be inconvenient, but it is one of the most effective ways to ensure your safety during a hurricane. Being prepared and following instructions can greatly reduce risks to your safety.

After the Hurricane: Recovery and Moving Forward

After the hurricane passes, the recovery phase begins. Once authorities give the all-clear, you can return home. Before entering your house, carefully inspect it for any damage, such as structural issues or gas leaks. If you notice any damage, contact your insurance company and document the damage with photos and videos. Be aware of hazards like downed power lines, broken glass, and floodwaters. Do not touch anything that could be dangerous. Stay informed by checking Tallahassee hurricane live footage for updates from local authorities. Report any issues, such as damaged utilities or road closures, to the appropriate authorities. Begin cleaning up debris around your property, but wear appropriate protective gear, such as gloves and sturdy shoes. If you experience any emotional distress, seek help from mental health professionals or support groups. The aftermath of a hurricane can be overwhelming, but remember that the community will come together to help each other recover. Reach out to neighbors and friends and offer assistance. Take care of yourself by eating well, getting enough rest, and staying informed. It will take time to get things back to normal, so be patient and focus on rebuilding. By following these steps and staying connected to reliable sources like Tallahassee hurricane live footage , you can navigate the recovery process successfully and help your community get back on its feet. Recovery requires patience, but with teamwork and resilience, you can rebuild and move forward.

Assessing Damage and Filing Insurance Claims

Once the storm has passed, and it is safe to do so, carefully assess the damage to your property. Take photos and videos of any damage to document the extent of the impact for insurance purposes. Make a list of damaged items and estimate their value. Contact your insurance company as soon as possible to file a claim. Be prepared to provide detailed information about the damage, including photos, videos, and any other relevant documentation. Your insurance company will send an adjuster to assess the damage and provide an estimate of the repairs. Follow up with your insurance company regularly to ensure your claim is processed efficiently. Be sure to keep all receipts for any repair work you have done. Also, keep any damaged items until the insurance adjuster has had a chance to inspect them. Understanding your insurance policy and knowing what is covered is very important. Don’t hesitate to ask your insurance company any questions you may have. When hiring contractors, make sure they are licensed and insured. Get multiple bids to ensure you are getting a fair price. By being proactive and organized in the claims process, you can make it easier to recover from the financial impact of the storm. Stay informed about any assistance programs or grants that may be available. Keep an eye on the Tallahassee hurricane live footage for updates on relief efforts and resources. The more you prepare and document, the better you’ll be in dealing with insurance claims.