Strongest Hurricane Ever: A Deep Dive Into Wikipedia's Records
Strongest Hurricane Ever: A Deep Dive into Wikipedia’s Records
Hey everyone, let’s dive deep into something seriously powerful – the strongest hurricanes ever recorded , as documented by none other than our trusty friend, Wikipedia. We’re going to explore some of the most ferocious storms to ever rage across our planet, looking at their intensity, the damage they caused, and what makes them stand out in the history books. So, grab your popcorn (or maybe a sturdy shelter!), and let’s get started!
Table of Contents
- Understanding Hurricane Intensity
- The Saffir-Simpson Hurricane Wind Scale
- Top Contenders: The Strongest Hurricanes According to Wikipedia
- Hurricane Patricia (2015)
- Typhoon Haiyan (2013)
- Hurricane Camille (1969)
- Other Notable Hurricanes
- The Impact and Aftermath
- The Role of Wikipedia and Other Resources
Understanding Hurricane Intensity
Before we jump into the hall of fame of hurricanes, it’s super important to understand how we measure these monstrous weather events. The main tool we use is the Saffir-Simpson Hurricane Wind Scale . This scale categorizes hurricanes based on their sustained wind speeds. It’s like a grading system, ranging from Category 1 (the least intense) all the way up to Category 5, which represents the most devastating storms. But, the Saffir-Simpson scale only tells a part of the story. While wind speed is a primary factor, the size of the storm, the amount of rainfall, and the storm surge (the abnormal rise of water) all contribute to the overall impact of a hurricane. Furthermore, the strongest hurricanes ever recorded are not always the deadliest. A Category 5 hurricane that hits a sparsely populated area might cause significant property damage but fewer fatalities compared to a weaker storm hitting a densely populated area. So, always remember that the impact of a hurricane is a complex combination of various factors, not just wind speed. Another critical aspect to consider is the atmospheric pressure at the storm’s center. Generally, the lower the pressure, the more intense the hurricane. Measuring pressure helps scientists understand the storm’s overall power. This is similar to how a car engine’s horsepower helps people understand how powerful it is. And one more thing: sustained wind speed is what the Saffir-Simpson scale uses, this is different from gusts, which can be much higher and are short bursts of wind. So, when we talk about the strongest hurricanes ever recorded , we’re primarily focusing on those sustained wind speeds.
The Saffir-Simpson Hurricane Wind Scale
- Category 1: 74-95 mph winds. Minimal damage. Think of it as a strong gusty day.
- Category 2: 96-110 mph winds. Moderate damage. Trees may be uprooted, and some damage to buildings.
- Category 3: 111-129 mph winds. Extensive damage. Significant damage to structures is likely.
- Category 4: 130-156 mph winds. Extreme damage. Major structural failures can occur.
- Category 5: 157 mph or higher winds. Catastrophic damage. Total destruction is possible. These are the kinds of storms we are looking at when we talk about the strongest hurricanes ever recorded .
Top Contenders: The Strongest Hurricanes According to Wikipedia
Alright, let’s get to the main event! According to Wikipedia and meteorological records, a few hurricanes stand out as the strongest hurricanes ever recorded . These storms have etched their names in history due to their incredible wind speeds, devastating impacts, and the sheer scale of destruction they unleashed. It’s worth noting that measuring technology has improved over the years, so comparing storms from different eras can be tricky. Early measurements may not be as precise as what we have today. However, these storms are considered to be at the top of the list:
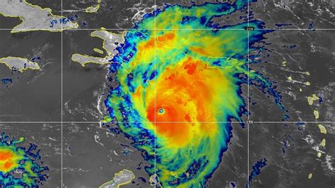
Hurricane Patricia (2015)
Let’s start with a modern marvel of meteorological mayhem: Hurricane Patricia . This beast of a storm holds the record for the highest sustained wind speeds ever recorded in a hurricane. In October 2015, Patricia reached sustained winds of 215 mph (345 km/h), with gusts even higher. It formed in the Eastern Pacific Ocean and quickly intensified into a Category 5 hurricane. Luckily, Patricia weakened before making landfall in Mexico, but even at landfall, it still packed a powerful punch. While the damage was significant, especially given the rapid intensification, the death toll was relatively low, partially because of the timely warnings and evacuations. However, its impact serves as a stark reminder of the potential power of a Category 5 hurricane. If you’re looking for the strongest hurricanes ever recorded based on wind speed alone, Patricia is your champion.
Typhoon Haiyan (2013)
Now, let’s head over to the Western Pacific to witness the fury of Typhoon Haiyan . This super typhoon, which struck the Philippines in November 2013, is another contender in the race for the title of strongest hurricane ever recorded , and is often cited as one of the deadliest typhoons. Haiyan had sustained winds estimated at around 195 mph (315 km/h), with gusts that were even higher. The storm surge was catastrophic, reaching up to 19 feet (5.8 meters) in some areas, and the widespread destruction led to thousands of fatalities and massive displacement. The devastation caused by Haiyan was a stark reminder of the vulnerability of coastal communities to these massive storms. It is a prime example of why the strongest hurricanes ever recorded are not simply about wind speed, but about their overall impact.
Hurricane Camille (1969)
Back to the Atlantic, and let’s go back in time to 1969 with Hurricane Camille . This was a landmark storm, remembered for its incredible intensity and the devastating impact on the US Gulf Coast. Camille rapidly intensified before making landfall in Mississippi, and while wind speeds are estimated to have reached 190 mph (305 km/h), the exact figures are debated because of the limitations in technology at the time. What’s not debated is the destruction. Camille caused widespread damage, a massive storm surge, and significant loss of life. Its impact led to significant changes in building codes and disaster preparedness in the affected regions. This storm showed that the strongest hurricanes ever recorded leave behind a legacy of destruction.
Other Notable Hurricanes
- Hurricane Wilma (2005): Though its wind speeds were not as high as Patricia, Wilma was a significant Category 5 hurricane that affected several areas, including the Yucatan Peninsula and Florida. It holds the record for the lowest atmospheric pressure ever recorded in an Atlantic hurricane.
- Hurricane Allen (1980): Another powerful storm that packed a serious punch, Allen churned through the Caribbean and Gulf of Mexico, causing significant damage.
- Typhoon Tip (1979): The largest tropical cyclone ever recorded, based on its size, though its wind speeds were not as high as some others on this list.
The Impact and Aftermath
The strongest hurricanes ever recorded leave behind trails of destruction, but it’s important to remember that these events also bring people together. Communities impacted by hurricanes often face immense challenges in the aftermath, including:
- Loss of Life: Sadly, the immediate impact of a hurricane often involves fatalities. These can be caused by the direct effects of high winds, flooding, or related incidents. The loss of life is one of the most heartbreaking consequences of these powerful storms.
- Damage to Infrastructure: Hurricanes can devastate infrastructure, which includes homes, businesses, roads, bridges, power lines, and communication networks. Rebuilding this infrastructure can take years and cost billions of dollars.
- Economic Impact: The economic impact of a major hurricane can be huge. It encompasses property damage, business interruption, and the costs of recovery and rebuilding. Tourism, agriculture, and other key industries can suffer significantly.
- Environmental Damage: Storms can cause significant environmental damage, including coastal erosion, damage to ecosystems, and pollution. The long-term effects on the environment can be substantial.
- Psychological Impact: The experience of a major hurricane can be incredibly traumatic for survivors. The loss of homes, the destruction of communities, and the fear for survival can lead to mental health issues, such as anxiety and depression.
However, it’s not all doom and gloom. Hurricanes also bring out the best in humanity. In the wake of a major storm, we see:
- Community Resilience: The spirit of communities often shines through in the aftermath of a hurricane. People come together to help each other, share resources, and start the process of rebuilding.
- Technological Advancements: The need to mitigate the risks associated with strongest hurricanes ever recorded often drives innovation. Improved forecasting, better building codes, and early warning systems can save lives and reduce damage.
- Improved Preparedness: The experiences of past hurricanes teach us valuable lessons. These lessons help us prepare better for future storms, including better evacuation plans, updated building codes, and community education programs.
The Role of Wikipedia and Other Resources
Wikipedia is a fantastic starting point for learning about hurricanes, but it’s essential to use other sources for comprehensive information. Here’s why:
- Wikipedia is a collaborative effort: The information on Wikipedia is provided by numerous contributors, which means the accuracy can vary. Always cross-reference the information with other reliable sources.
- Keep up with the latest data: Information on Wikipedia is constantly being updated, so check the