OSCPSE, Hurricane Katrina, And Mexico: A Deep Dive

L.Audent 94 views
OSCPSE, Hurricane Katrina, And Mexico: A Deep Dive

OSCPSE, Hurricane Katrina, and Mexico: A Deep Dive

Hey guys! Ever heard of OSCPSE ? It’s a complex topic. Let’s break down the connections between OSCPSE , the devastating Hurricane Katrina , and its impact, particularly as it relates to Mexico . This is going to be a fascinating journey, and by the end, you’ll have a much clearer understanding of these interconnected events. We’ll explore the roles, the aftermath, and the long-term implications, all while keeping things understandable and, dare I say, fun? So, buckle up! This article aims to provide a comprehensive look at the connections between these three entities.

Understanding OSCPSE: The Foundation

Before we dive into the hurricane and Mexico, let’s nail down what OSCPSE is all about. OSCPSE represents the Oil Spill Contingency Planning and Safety Equipment . It is a crucial aspect of disaster management, especially for environmental protection in the wake of oil spills. Think of it as the playbook and the equipment designed to minimize damage from oil spills. The core of OSCPSE involves several key components, including planning, response, and cleanup. Comprehensive planning includes identifying potential spill risks, developing strategies for rapid response, and establishing clear communication channels. Response mechanisms are designed to contain and recover spilled oil efficiently, using tools like booms, skimmers, and dispersants. Effective cleanup operations focus on removing the oil from the affected environment, whether it’s the ocean, coastlines, or other sensitive areas. This is why OSCPSE is absolutely critical. It’s like a well-oiled machine (pun intended!) designed to limit environmental devastation.

Now, why is OSCPSE important? Well, oil spills can cause catastrophic damage, harming marine life, polluting ecosystems, and impacting human health and livelihoods. OSCPSE helps mitigate these risks. It’s not just about cleaning up the mess; it’s about prevention, preparedness, and rapid response to reduce the overall impact. Moreover, OSCPSE planning often involves collaboration between governments, industry stakeholders, and environmental organizations. This cooperative approach ensures that everyone is on the same page and working together to protect the environment. It is crucial to be proactive in areas prone to natural disasters or those with significant oil infrastructure. Without it, the consequences can be incredibly severe. We must realize that OSCPSE isn’t just a set of procedures and equipment; it’s a commitment to environmental stewardship. Without strong OSCPSE in place, the impact of a disaster like Hurricane Katrina could have been significantly amplified, leading to greater environmental degradation and economic losses. This also means we must be prepared to help the countries that are vulnerable to these kinds of events, like Mexico.

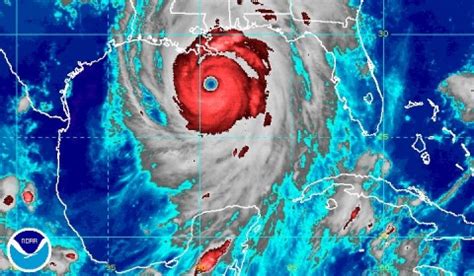
Hurricane Katrina: A Catastrophic Event

Alright, let’s talk about Hurricane Katrina . This hurricane was one of the deadliest and costliest natural disasters in US history. It struck the Gulf Coast in August 2005 and caused widespread destruction, particularly in Louisiana, Mississippi, and Alabama. The sheer scale of Katrina’s impact is mind-boggling. It caused massive flooding due to storm surges, breached levees, and heavy rainfall. The devastation was immense, with thousands of lives lost and millions of people displaced. The city of New Orleans was particularly hard hit. Large areas were submerged, and the city’s infrastructure was crippled. The disaster exposed significant vulnerabilities in the region’s infrastructure, including its levee system. The damage was not just physical; there were also social and economic consequences. Communities were shattered, economies were crippled, and the recovery process dragged on for years. The hurricane also led to significant political and social issues. The government response was criticized, and there were debates over how to best rebuild and support those affected. This is why it is so important to understand all the factors involved in this type of event.

Now, how does OSCPSE tie into all of this? During and after Hurricane Katrina, there was a heightened risk of oil spills. The storm damaged oil refineries, pipelines, and storage facilities, leading to the potential for environmental disasters on top of the existing human tragedy. The implementation of OSCPSE protocols became absolutely critical. The disaster response efforts included measures to contain and clean up any oil spills, to protect sensitive ecosystems, and to minimize the impact on public health. This underscores the need for robust OSCPSE plans. Had these plans not been in place, the environmental consequences of Katrina could have been far worse. It is why countries need to work together. And that leads us to the next point.

Mexico’s Role: Preparedness and Response

Here’s where Mexico enters the picture. While Hurricane Katrina directly impacted the US Gulf Coast, its effects were felt indirectly in Mexico. Mexico is a neighbor to the United States and shares the Gulf of Mexico, making it vulnerable to similar weather patterns and environmental impacts. Mexico is also a major player in the oil industry. Therefore, its role in addressing the aftermath of Katrina, especially with respect to OSCPSE, is quite significant. The preparedness measures in Mexico include the development of its own OSCPSE plans. These plans are designed to prevent and respond to oil spills, with a focus on protecting sensitive coastal areas and marine ecosystems. The Mexican government, along with industry partners, invests in equipment and training to improve spill response capabilities. Cooperation between the US and Mexico is essential, particularly in cases of cross-border environmental impacts. This cooperation includes information sharing, joint training exercises, and collaborative response efforts. For instance, in the event of an oil spill that affects both countries, they can work together to coordinate cleanup operations and share resources. This cooperation is key to effective OSCPSE. It is essential for minimizing environmental damage and protecting public health.

The response to Hurricane Katrina, from a Mexican perspective, was multifaceted. The country provided humanitarian aid to the affected areas in the United States. Also, Mexico participated in international efforts to support the US, and this included contributing to the overall recovery. The focus, from Mexico’s viewpoint, highlights the importance of OSCPSE and regional cooperation. Because of the lessons learned from Katrina, both countries have strengthened their OSCPSE protocols and response capabilities. They have also improved communication and coordination mechanisms. The goal is to be better prepared for future disasters, whether natural or man-made. This is why we need to focus on this topic, so we can be ready for the next event.

The Interplay: OSCPSE, Katrina, and Mexico

So, let’s tie it all together, guys. We’ve seen how OSCPSE acts as a defense against environmental disasters. We’ve also seen how devastating Hurricane Katrina was. Mexico’s proximity and environmental responsibilities make it an important player in the Gulf Coast region. These three components are intertwined in a complex web of environmental protection, disaster response, and international cooperation. Hurricane Katrina acted as a catalyst. It highlighted the importance of robust OSCPSE plans. It also emphasized the need for regional cooperation. Mexico’s role in this interplay demonstrates how critical it is to have preparedness, response, and a shared commitment to environmental stewardship. Understanding the connections between these three entities is essential. It helps us better prepare for future challenges and build a more resilient environment. In addition, the long-term impact of Katrina underscores the need for continuous improvement in OSCPSE practices. The long-term impact on the affected communities and ecosystems highlighted the importance of protecting ourselves, our neighbors, and our future.

The Lessons Learned: A Path Forward

What can we learn from this, you may ask? Plenty! Here’s a summary: first, the importance of robust OSCPSE planning and preparedness is essential. Second, the need for international cooperation, especially between neighboring countries with shared environmental resources, is crucial. Third, the vulnerability of infrastructure and the importance of resilience must be at the forefront of the discussions. Fourth, the crucial part of community engagement and social equity in disaster response should be included. These are important for an effective response and recovery.

Looking ahead, we can focus on these aspects: strengthening OSCPSE plans, enhancing regional cooperation, investing in infrastructure improvements, and ensuring social equity. The goal is not just to respond to disasters but to prevent them. Building resilient communities and a sustainable environment requires a holistic approach. It’s a continuous process that needs constant attention and improvements. The experiences of Hurricane Katrina, combined with a strong understanding of OSCPSE, can help guide Mexico and the United States in creating a safer and more environmentally conscious region. By learning from the past, we can build a better future.