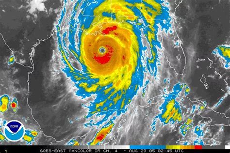
OSCNOAASC & Hurricane Katrina: Powerful Imagery

L.Audent 86 views
OSCNOAASC & Hurricane Katrina: Powerful Imagery

OSCNOAASC and Hurricane Katrina: A Visual Journey

Hey guys! Ever heard of OSCNOAASC ? It’s a mouthful, I know. But it’s super important when we talk about Hurricane Katrina and the devastating impact it had. And you know what’s even more powerful than words? Imagery . That’s where OSCNOAASC comes in – providing vital images and data. In this article, we’ll dive deep into how OSCNOAASC’s imagery helped us understand and respond to the catastrophe that was Katrina. We’ll be looking at what it is, how it works, and why it was so crucial during the crisis. Get ready for a visual journey that’ll show you the power of data and images in the face of disaster! It’s pretty amazing stuff, and I think you’ll find it incredibly interesting. Let’s get started. We’ll explore the impact of the hurricane, the significance of the OSCNOAASC images, and the role they played in aiding rescue and recovery efforts. These images weren’t just pretty pictures; they were essential tools for decision-making, resource allocation, and ultimately, saving lives. Pretty heavy stuff, but super important to understand! So, buckle up, and let’s unravel this together. We’re going to understand the impact of the event, the impact of the imagery , and what we can learn for the future!

Understanding the Scale of Hurricane Katrina

Alright, before we get into the nitty-gritty of OSCNOAASC, let’s take a moment to remember Hurricane Katrina . This hurricane was massive , hitting the Gulf Coast in 2005 with a vengeance. It wasn’t just the wind; it was the storm surge, the flooding, and the sheer destruction that made it such a defining event. The impact was widespread, affecting states like Louisiana, Mississippi, and Alabama. The devastation was immense, with countless homes destroyed, lives lost, and communities shattered. It was a disaster of epic proportions, and understanding its scale is crucial to appreciating the role of OSCNOAASC’s imagery. The wind speeds were absolutely insane, the rain was relentless, and the storm surge just ate away at the coastline. The damage was estimated to be in the billions of dollars, making it one of the most expensive natural disasters in U.S. history. Just to give you an idea of how big this was, think about the amount of area affected. It wasn’t just a city or two; it was entire regions that were completely changed. Now, I know this is a bit of a downer, but it’s important to remember the human cost, too. Thousands of people lost their lives, and countless more were displaced, forced to start over from scratch. The emotional and psychological toll was just as significant as the physical damage. This is a crucial point to understand before we delve into the role of imagery. So, that’s why we need to understand this.

The Direct Impacts

Katrina’s immediate effects were staggering. High winds tore apart buildings, leaving many structures in ruins. The storm surge was a monster, inundating coastal areas with water and debris. The flooding, as a result, displaced people. These immediate impacts highlighted the urgent need for a coordinated response. Power outages and infrastructure failures also added to the chaos, making communication and rescue operations difficult. It was essentially a perfect storm of disaster. Roads were blocked, bridges collapsed, and entire neighborhoods were underwater. People were trapped, and resources were stretched thin. The immediate aftermath was truly chaotic. The destruction wasn’t limited to just physical structures; it also affected the environment. Habitats were destroyed, and ecosystems were disrupted. This has a long-term impact on the ecosystems as well. The environment would need a long time to recover, and there were also health concerns, with the widespread spread of bacteria and other threats. It was, without a doubt, a crisis of massive scale.

Long-term Consequences

But the impact didn’t end there, of course. The long-term consequences of Hurricane Katrina were just as significant. The population of the affected areas changed, with many people permanently relocating. The economy suffered a huge blow, affecting everything from local businesses to the tourism industry. The mental health of those affected was also greatly impacted. Years after the storm, people were still dealing with the trauma of what they had experienced. We are still learning what the long term consequences were. The long-term recovery was a slow and difficult process, taking years to rebuild infrastructure and restore communities. This created a lot of social issues, with challenges such as poverty and crime. It also had a big impact on the environment and how we consider the effects of climate change. So you can see that the impacts were both immediate and long-term, which is why it is important to remember what happened.

OSCNOAASC: A Key Player in Disaster Response

Okay, now that we’ve set the stage, let’s talk about OSCNOAASC . What is it? Well, it’s a critical component in understanding and responding to disasters. OSCNOAASC stands for the Office of Space Commercialization and National Oceanic and Atmospheric Administration Satellite Coordination . It’s a mouthful, I know, but basically, it’s the organization that helps coordinate satellite imagery and data from various sources. During Hurricane Katrina , OSCNOAASC played a pivotal role in gathering and distributing crucial information. They worked around the clock to provide images and data that were used by rescue teams, government agencies, and relief organizations. Their data was invaluable. The OSCNOAASC helps collect satellite imagery, analyzes it, and then distributes it to those who need it most. They use various satellite technologies, including everything from optical sensors to radar. It is able to provide a comprehensive view of the affected areas, helping them to assess the damage, identify areas of greatest need, and plan rescue and recovery efforts.

The Role of Imagery

Now, why was this imagery so essential? The images provided by OSCNOAASC offered a bird’s-eye view of the devastation. They allowed officials to see the extent of the flooding, identify damaged infrastructure, and assess the needs of the affected communities. This information was critical for making informed decisions. The images helped determine where to deploy rescue teams, where to allocate resources, and how to plan the overall recovery effort. Without these images, the response would have been much slower and less efficient. These images also helped with communication. They showed the world the scale of the disaster and the extent of the damage. This helped to generate public awareness and support, leading to increased donations and assistance. The role of imagery extended beyond just the immediate response, as well. These images also aided in the long-term recovery and reconstruction efforts. They were used to assess damage, track progress, and plan for future development. These are really, really important things to consider.

Data Collection and Analysis

OSCNOAASC uses a variety of methods to collect and analyze data. Satellite imagery is their primary source, but they also use other data sources, such as aerial photographs and ground-based sensors. This multi-faceted approach provides a comprehensive view of the affected areas. All of this data is collected and analyzed using advanced technologies and techniques, which allow OSCNOAASC to quickly process and disseminate the information. They use sophisticated algorithms and software to analyze the images. This helps to identify areas of damage, assess the extent of the flooding, and create detailed maps of the affected areas. The information is then shared with various stakeholders, including government agencies, rescue teams, and relief organizations. OSCNOAASC’s data collection and analysis efforts are essential for understanding the scale of the disaster and for making informed decisions. They are not only providing images but also the context around them. This level of detail is critical for effective disaster response and recovery.

The Power of Visual Information in Rescue and Recovery

Let’s talk about the real power of visual information during Hurricane Katrina . The imagery from OSCNOAASC was like a lifeline. It gave responders and officials the knowledge they needed to make critical decisions in real-time. It helped them see the unseen , understand the chaos, and focus their efforts where they were most needed. You see, during a disaster, information is incredibly valuable. Knowing where to send rescue teams, how to allocate supplies, and how to prioritize efforts can make the difference between life and death. The OSCNOAASC images provided this information. These images were crucial for coordinating rescue operations. Rescue teams could use them to locate people trapped by the floodwaters and to identify safe routes to reach them. These images also helped to assess the damage to infrastructure, such as roads and bridges. This information was crucial for determining how to move resources and personnel. The imagery allowed officials to quickly assess the extent of the damage and to identify the areas that needed the most immediate assistance. That allowed them to focus the efforts effectively and to provide aid to the people who were most in need.

Impact on Rescue Operations

Imagine trying to coordinate a rescue mission without knowing what you’re up against. It would be an absolute nightmare, right? Well, that’s where OSCNOAASC’s imagery came in. It gave rescue teams a clear picture of the situation on the ground. This information was crucial for planning and executing effective rescue operations. The images provided by OSCNOAASC helped to identify areas where people were stranded. Rescue teams could then use this information to prioritize their efforts and to focus on the areas where they were most needed. They could also use the images to assess the damage to infrastructure, such as roads and bridges. This information was crucial for determining how to access the affected areas. With this information, they can create safe routes. The images were also used to identify safe landing zones for helicopters, allowing them to evacuate people from areas that were difficult to access by land. This information was essential for rescue operations, and without it, the efforts would have been much slower and less effective. So, it is important to understand the role it played.

Guiding Recovery Efforts

And it didn’t stop there. OSCNOAASC’s imagery also played a vital role in guiding the recovery efforts. The images were used to assess the damage to infrastructure, such as homes and businesses. This information was crucial for determining the resources needed to rebuild the affected areas. They also helped to identify the areas that were most vulnerable to future disasters. This information was used to plan for future development and to make sure that the affected communities were better prepared for future events. The images also helped to track the progress of the recovery efforts. The authorities can monitor how the reconstruction is going. They can use the information to adjust their strategies and to ensure that the recovery efforts are progressing effectively. So you see, the imagery from OSCNOAASC was essential for both the immediate rescue efforts and the long-term recovery efforts, ensuring that people were helped as soon as possible.

Lessons Learned and Future Implications

What can we learn from all this? First off, the importance of preparedness cannot be overstated. We have to be ready for these kinds of events. Secondly, we have to strengthen communication networks and improve the way we share information. This is why OSCNOAASC’s role is important. We can’t let a disaster cripple our ability to respond. Furthermore, it underscored the need for continuous technological advancements in disaster response. We must invest in tools and systems that allow us to collect, analyze, and disseminate information quickly and efficiently. The lessons learned from Hurricane Katrina have had a big impact on how we prepare for and respond to disasters. The event showed that the preparation and response capabilities had to be updated. It led to improvements in forecasting, warning systems, and evacuation planning. We’ve also learned a lot about how to coordinate relief efforts and how to better support those affected by disasters.

Technological Advancements and Disaster Response

The advancements in technology have revolutionized how we respond to disasters. The technology used by OSCNOAASC is improving all the time. The technologies include satellite imagery, drones, and other remote sensing tools. These tools allow us to collect and analyze data more quickly and efficiently. They help us to understand the scale of the disaster, to assess the damage, and to identify the areas that need the most immediate assistance. Advances in data analysis and artificial intelligence (AI) have also played a big role. These technologies can process and interpret large amounts of data. It provides valuable insights that are not possible with traditional methods. These technologies can help improve the accuracy of damage assessments, to speed up the delivery of aid, and to ensure that the resources are allocated effectively. This can help to improve the accuracy of damage assessments, and to speed up the delivery of aid.

The Future of Disaster Management

So, what does the future hold for disaster management? We’re likely to see even greater integration of technology, with more sophisticated systems for data collection, analysis, and communication. We’ll probably see increased use of AI and machine learning to predict disasters, assess damage, and coordinate rescue efforts. International cooperation and data sharing will also play a crucial role. Disasters don’t respect borders, so we need to work together on a global scale. We’re also going to be thinking more about the human element – the emotional, psychological, and social impacts of disasters. It’s not just about the physical recovery; it’s about helping communities heal and rebuild. This means that we’ll be paying more attention to mental health support, providing resources for those who have been affected by the disaster, and fostering community resilience. This will require new approaches to disaster management and the development of more effective strategies.

And there you have it, guys. OSCNOAASC and its use of imagery during Hurricane Katrina – a story of devastation, resilience, and the power of information. It’s a reminder of how important it is to be prepared, to have the right tools, and to work together to overcome challenges. I hope you found it as fascinating as I did. Thanks for sticking around and learning with me!