Live Hurricane Tracker: Satellite & NOAA Updates

L.Audent 108 views
Live Hurricane Tracker: Satellite & NOAA Updates

Live Hurricane Tracker: Satellite & NOAA Updates

Hey everyone! Are you ready to dive into the wild world of hurricanes and tropical storms? We’re going to explore the IIHurricane Tracker , how to use live satellite imagery, and the valuable information provided by NOAA. This is super important stuff, especially if you live in areas prone to these powerful storms. So, buckle up, grab your coffee, and let’s get started. Understanding how these systems work and having access to real-time tracking is key to staying safe and informed during hurricane season. We’ll break down everything you need to know, from interpreting satellite images to understanding NOAA’s forecasts. Knowing where to look for accurate and timely information can make all the difference when a storm is brewing. Let’s get started on becoming hurricane tracking pros! The IIHurricane Tracker , which is also referred to as the hurricane tracker live satellite NOAA , provides a great deal of information for people in impacted areas.

First things first: What is a Hurricane Tracker?

A hurricane tracker is a tool, usually a website or app, that lets you follow the path of a hurricane or tropical storm in real time. It uses data from various sources, including satellites, radar, and weather stations, to show you the storm’s current location, intensity, and predicted path. Think of it as your personal storm-chasing guide, but without the actual chasing (unless you’re into that kind of thing!). Most trackers also provide information on wind speeds, rainfall, and other important details. The goal? To give you a comprehensive picture of what’s happening so you can make informed decisions. These trackers are essential for staying prepared and knowing when to take action. When a hurricane is approaching, the information is used to make smart, informed decisions that can help you and your family to stay safe. They’re really a must-have resource for anyone in hurricane-prone areas. These tools gather and interpret data from a variety of sources to give users the most up-to-date and complete picture of a storm’s progress. That means you get all the critical details, like the storm’s current location, wind speed, projected path, and potential impact on different areas. Many also provide information on potential hazards, like storm surges, flooding, and tornadoes. Understanding this data can help you know when you might need to take action. Ultimately, a hurricane tracker is a tool to keep you safe and informed.

Diving into the IIHurricane Tracker

Now, let’s talk about the IIHurricane Tracker . This tracker is a fantastic resource, often offering a user-friendly interface and a wealth of data. It pulls information from various sources. It’s designed to provide you with the most current information. Typically, you’ll find a map displaying the storm’s current location, its predicted path, and the potential areas of impact. The IIHurricane Tracker usually has extra details on the storm’s intensity, wind speeds, and even the probability of certain impacts, like storm surge or heavy rainfall. The goal of the IIHurricane Tracker is to make understanding the complex nature of a hurricane, easy to understand. One of the best things about the IIHurricane Tracker is that you can often see the future. The ability to see the likely direction and speed of a storm will help you and your family prepare for what’s to come. It’s like having a crystal ball, but instead of seeing the future, you get information that can help you plan to stay safe. Always remember, it is important to understand the forecast information and the potential impact it will have on your location. The IIHurricane Tracker provides a valuable service by consolidating a lot of information into an easy-to-use format. You can check the current status of the storm, as well as have an idea of the areas that will be affected. This will enable you to make preparations, such as ensuring that you have enough supplies, or evacuating your home.

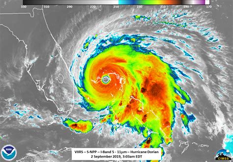
The Importance of Live Satellite Imagery

Satellite imagery is an absolute game-changer when it comes to tracking hurricanes. Why? Because satellites can give us a bird’s-eye view of the storm, allowing us to see its entire structure, cloud patterns, and movement. This kind of information is crucial for understanding the storm’s intensity and predicting its path. Satellites equipped with advanced sensors can even measure the sea surface temperature, which helps meteorologists understand if the storm has the energy it needs to grow. Satellite imagery also helps in spotting any changes in the storm’s behavior. Think of it like this: satellite images are like high-resolution photos of the storm, giving us a ton of information that we can’t get from ground-based observations alone. Real-time satellite images, updated frequently, help you to visualize the size and shape of the storm. This is key to evaluating the overall impact it might have. This detailed information allows you to keep an eye on the storm and make informed decisions on how to move forward. These images are essential in understanding the intensity of the storm and potential dangers it may pose. It’s like having a window into the storm’s inner workings! The better you understand the details, the better you’ll be prepared.

NOAA’s Role in Hurricane Tracking

Now, let’s talk about NOAA. The National Oceanic and Atmospheric Administration (NOAA) is a key player in hurricane tracking. NOAA uses a combination of satellites, aircraft, and surface observations to monitor and forecast hurricanes. They provide the official hurricane forecasts and warnings for the United States. They have a team of meteorologists who work around the clock, analyzing data and providing crucial information to the public. You’ll find NOAA’s forecasts on their website, as well as on most hurricane tracker websites and apps. NOAA also provides a treasure trove of data, including the storm’s current position, intensity, predicted path, and potential impacts like rainfall and storm surge. This information is critical for making informed decisions. In addition to forecasts, NOAA issues warnings and watches. A hurricane watch means hurricane conditions are possible within a certain area, while a hurricane warning means hurricane conditions are expected. These warnings are super important and should be taken seriously. NOAA’s role is not just about tracking storms. They also work to educate the public about hurricane preparedness. They have tons of resources available, like checklists, guides, and tips on how to prepare your home and family for a hurricane. NOAA is your go-to source for reliable and up-to-date hurricane information. Their dedication is helping to keep communities safe during hurricane season.

How to Read a NOAA Forecast

Reading a NOAA forecast might seem daunting, but it’s really not that hard once you know what to look for. First, pay attention to the storm’s predicted path . This will be displayed as a line on the map, with a cone of uncertainty around it. The cone shows the probable path of the storm, but the storm’s actual path could be anywhere within the cone. Then, check the intensity forecast , which will tell you how strong the storm is expected to be. This is usually expressed in terms of wind speed. Also, check for watches and warnings . As mentioned, these are critical. A hurricane watch means that hurricane conditions are possible. A hurricane warning means that hurricane conditions are expected. You’ll also find information about the potential impacts of the storm, like rainfall amounts, storm surge, and the risk of tornadoes. NOAA forecasts are updated frequently, so it’s important to check them regularly. The more you know, the better prepared you’ll be. This kind of information will help you better understand the storm. It’s all about staying informed and ready!

Combining Resources for Optimal Tracking

To get the most comprehensive picture of a hurricane, it’s best to combine information from multiple sources. Use the IIHurricane Tracker to get a quick overview of the storm’s current location and predicted path. Then, check the live satellite imagery to see the storm’s structure and cloud patterns. Finally, go to the NOAA website for the official forecast and warnings. Combining these resources will give you a well-rounded understanding of the storm and its potential impacts. The goal is to gather as much information as possible to make the most informed decisions. Checking multiple sources will help ensure you’re getting the most up-to-date and accurate information. The more information you have, the better equipped you’ll be to prepare and stay safe. It’s like having all the pieces of the puzzle and putting them together to see the full picture. So, mix and match your resources to stay safe and informed!

Practical Tips for Hurricane Season

Here are some quick tips to help you stay safe during hurricane season. First, create a disaster plan and make sure your family knows it. This plan should include evacuation routes, meeting places, and emergency contact information. Second, build an emergency kit . This kit should include essential supplies like water, food, first-aid supplies, a flashlight, and a battery-powered radio. Third, stay informed by regularly checking the IIHurricane Tracker , live satellite imagery, and NOAA forecasts. Fourth, secure your home . Trim trees and shrubs, secure loose items, and board up windows if necessary. Finally, know your evacuation zone . If you live in an evacuation zone, be prepared to evacuate when authorities issue an order. The main goal here is to be prepared. When you have a plan in place, it reduces stress and helps you to stay calm. Remember, hurricane season is a serious time, and preparation is key. Following these tips can make a significant difference in your safety. Being prepared means being aware, and knowing what to do. The more you prepare ahead of time, the better you’ll be able to handle any situation. Always put your safety and the safety of your loved ones first.

Frequently Asked Questions (FAQ)

Where can I find the IIHurricane Tracker ?

You can find many hurricane tracking resources, including the IIHurricane Tracker , through a simple search online. Many websites and apps offer real-time tracking, satellite imagery, and NOAA updates. Always make sure you’re using a trusted source for your information.

What should I do if a hurricane watch is issued for my area?

If a hurricane watch is issued, it means that hurricane conditions are possible within a certain area. You should review your disaster plan, check your emergency kit, and stay informed by monitoring NOAA forecasts and local news. You should also start making preparations. This is the time to gather supplies and begin to secure your home.

What’s the difference between a hurricane watch and a hurricane warning?

A hurricane watch means that hurricane conditions are possible within a certain area, while a hurricane warning means that hurricane conditions are expected. A watch is issued 48 hours before the expected onset of tropical-storm-force winds, and a warning is issued 36 hours before. A warning means that you need to take action. This is the time to seek shelter, and evacuate if necessary.

How often are NOAA forecasts updated?

NOAA forecasts are updated frequently, often every six hours, but sometimes more often during active storm situations. Be sure to check NOAA’s website or other reliable sources regularly for the latest updates.

Can I rely on a hurricane tracker alone?

While hurricane trackers are incredibly useful, you should never rely on them exclusively. Always combine information from the tracker with official NOAA forecasts and local news updates. Combining information from multiple sources will ensure you have a comprehensive understanding of the situation.

What are storm surges, and why are they dangerous?

Storm surges are a rise in sea level during a hurricane. They are caused by the storm’s winds pushing water toward the shore. Storm surges can cause devastating flooding and are a major threat during hurricanes. These storm surges can be incredibly destructive.

Conclusion

So, there you have it, folks! We’ve covered the IIHurricane Tracker , live satellite imagery, and NOAA. Armed with this knowledge, you’re now better equipped to understand and track hurricanes. Always remember that staying informed and prepared is the key to safety. Use the information you’ve learned here to stay safe and make smart choices during hurricane season. Stay safe, stay informed, and always put your safety first. Remember that with a little preparation and awareness, we can get through hurricane season.