Imilton Hurricane Landfall: What The Forecasts Say

L.Audent 79 views
Imilton Hurricane Landfall: What The Forecasts Say

Imilton Hurricane Landfall: Decoding the Predictions

Hey guys! Ever wondered about Imilton hurricane landfall predictions ? It’s a question that pops up, especially when the storm season hits. Predicting where a hurricane will make landfall is super complex, involving tons of data and some seriously smart folks in meteorology. Let’s dive in and break down what goes into these predictions and what you should pay attention to. We’ll explore the science, the challenges, and what it all means for you.

The Science Behind Imilton Hurricane Landfall Predictions

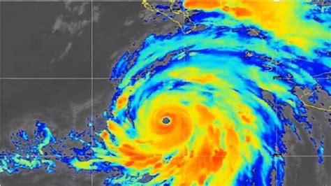
Alright, so when we talk about Imilton hurricane landfall predictions , we’re not just guessing. There’s a whole scientific process behind it. Meteorologists use sophisticated computer models, satellite data, and a deep understanding of atmospheric dynamics. These models are the workhorses of hurricane forecasting, crunching massive amounts of information to simulate how a storm might behave. Data is fed into these models from various sources, including weather balloons, ocean buoys, and aircraft that fly directly into hurricanes. These tools provide the raw material to build those forecasts that you see on TV or online.

Now, these computer models come in different flavors. Some are global models, trying to capture the big picture of weather systems around the world. Others are regional models, focusing on specific areas like the Atlantic basin where hurricanes are common. And then there are high-resolution models that zoom in on the hurricane itself. Each type of model has its strengths and weaknesses, so forecasters typically look at a range of model outputs to get a more complete picture. The best forecasts come from the combination of different models, experience of meteorologists and current conditions. The predictions are then constantly updated as more data is collected. Remember, the atmosphere is a fluid, dynamic thing, so these predictions aren’t static.

One of the trickiest parts of Imilton hurricane landfall predictions is the ‘cone of uncertainty’. This cone isn’t a prediction of the storm’s size, but rather a representation of the forecast error. The cone gets wider further out in time, because the potential track of the storm becomes less certain. This uncertainty comes from a variety of sources. One of these is the chaotic nature of the atmosphere. Small changes in the initial conditions can lead to significantly different outcomes over time, a phenomenon known as the ‘butterfly effect’. Another source is the limits of our models and data. While the models have improved dramatically over the years, they still have limitations in representing all the complex processes that go on in a hurricane. Plus, the amount of data we can gather about a storm is still limited by the available technology. This is also influenced by the interaction of the hurricane with land masses, which can cause the storm to weaken or change direction in unpredictable ways. Coastal features like bays, estuaries, and barrier islands can also affect a hurricane’s track. Meteorologists carefully monitor these factors and try to account for them in their predictions.

So, when you see a hurricane forecast, keep in mind that the cone of uncertainty is a key part of the picture. The most likely track is the line down the center of the cone, but the storm could still hit anywhere within it. Being aware of this uncertainty is crucial for preparing and staying safe.

Key Factors Influencing Imilton Hurricane Landfall

Let’s get down to the nitty-gritty of what influences Imilton hurricane landfall . Several factors play a crucial role in how a hurricane behaves and where it ends up. Understanding these will help you make more informed decisions when the next storm comes around.

First up, steering currents. These are large-scale weather patterns in the atmosphere that essentially push hurricanes along. Think of them like invisible rivers of air. High-pressure systems, low-pressure systems, and the jet stream can all act as steering currents, directing a hurricane’s path. Sometimes, these currents are strong and consistent, leading to a relatively predictable track. Other times, the steering currents are weak and variable, and the hurricane becomes more erratic.

Then there’s the Coriolis effect. Because the Earth is rotating, moving objects like hurricanes are deflected. In the Northern Hemisphere, the Coriolis effect causes hurricanes to curve to the right. This is one reason why hurricanes don’t typically move straight north or south. This force also affects how a hurricane spins, with the direction of the rotation being counterclockwise in the Northern Hemisphere and clockwise in the Southern Hemisphere.

Another significant influence is the interaction between the hurricane and the ocean. Hurricanes need warm ocean water to survive and thrive. The warmer the water, the more energy the hurricane has to fuel its intensity. When a hurricane moves over cooler waters, it tends to weaken. The ocean’s temperature isn’t the only factor; the depth of the warm water is important too. If a hurricane churns up the ocean and brings cooler water to the surface, this can weaken the storm. The wind shear, or the change in wind speed and direction with height, also plays a crucial role. High wind shear can tear a hurricane apart, making it less likely to intensify. When wind shear is low, the hurricane can build vertically, increasing its intensity.

The terrain of the land it approaches affects Imilton hurricane landfall predictions too. When a hurricane hits land, it loses its source of energy, and usually weakens. The topography of the land, such as mountains, can also affect the storm’s track and intensity. Mountains can disrupt the flow of the hurricane, leading to a change in direction or a decrease in intensity. The land surface characteristics, such as forests, urban areas, and wetlands, can also affect a hurricane’s impact. Forests can reduce wind speeds, and wetlands can absorb some of the storm surge. Coastal features, like barrier islands and bays, can protect inland areas from storm surge. All of these factors interact in a complex way, making it difficult to predict the exact track and intensity of a hurricane.

Interpreting Imilton Hurricane Landfall Forecasts

Okay, so you’ve seen the forecasts, you’ve heard the jargon – now what? How do you actually interpret those Imilton hurricane landfall predictions and what actions do you take? It’s important to understand what the different elements of a forecast mean and how to use them to make smart decisions.

First and foremost, pay attention to the cone of uncertainty. As mentioned before, this cone shows the likely path of the storm, but also the potential error in the forecast. The further out in time the forecast is, the wider the cone becomes. If your location is within the cone, it’s a signal to start preparing. Don’t assume that just because the center of the cone isn’t headed directly for you, you’re safe. The storm could still hit anywhere within that area. Think about it as a target, with the bullseye being the most likely location of the eye of the storm. The area around the bullseye is where you’ll want to focus your preparation efforts.

Next, look at the forecast track. This line shows the predicted path of the storm’s center. Notice the speed at which it’s moving and the direction it’s headed. This information will help you understand how quickly the storm is approaching. Also, keep an eye on the projected intensity of the hurricane. The forecast will show the expected wind speeds and the category of the storm. Knowing the expected intensity will help you assess the potential risks. A stronger storm will cause more damage and require more extensive preparations. It is important to know the difference between the wind speed, the storm surge and the rain accumulation.

Pay attention to the specific hazards for your area. The forecast will provide information about the potential for storm surge, heavy rainfall, flooding, and tornadoes. Each of these hazards poses different risks and requires different preparations. If you live in a coastal area, pay close attention to the storm surge forecast. Storm surge is the rise in sea level caused by the storm, and it can be extremely dangerous. Know your evacuation zone and be prepared to evacuate if you are in a designated area. Also, check your home’s flood insurance coverage and make sure you understand the details of your policy.

Finally, don’t rely on just one source of information. Gather information from multiple sources, such as the National Hurricane Center, local news outlets, and weather apps. Cross-check the information to get a more complete picture of the situation. Always stay up-to-date. Hurricane forecasts are constantly being updated, so check for new information regularly. Monitor official sources for the latest advisories, watches, and warnings. Pay attention to warnings issued by local authorities and follow their instructions. Being informed and prepared is the best way to stay safe during a hurricane.

Tools and Resources for Tracking Imilton Hurricane Landfall

Want to stay ahead of the game when it comes to Imilton hurricane landfall ? Here’s a rundown of the best tools and resources you can use to track these storms:

Official Government Resources: The National Hurricane Center (NHC) is your go-to source for the most reliable information. The NHC provides the official forecasts, advisories, and discussions on all tropical cyclones. They also release the iconic cone of uncertainty, which is a key part of understanding the forecast. The NHC website is updated frequently, so it’s a great habit to visit it regularly when a storm is brewing. The NHC also provides detailed information about the storm’s track, intensity, and potential impacts. The National Weather Service (NWS) is another vital resource. They are responsible for issuing local watches, warnings, and forecasts. The NWS also provides information about the potential hazards associated with a hurricane, such as flooding, storm surge, and tornadoes. They also work with local authorities to coordinate emergency response efforts.

Weather Apps and Websites: There’s a plethora of weather apps and websites that can provide you with up-to-the-minute information on hurricanes. Some popular choices include The Weather Channel, AccuWeather, and local news apps. These apps often provide interactive maps, real-time radar data, and push notifications to keep you informed. Many apps also offer detailed information about the storm’s projected path, intensity, and potential impacts. Make sure the app you are using is from a reputable source, and that it is providing accurate information. Some apps have special features, such as the ability to customize alerts based on your location.

Social Media: Social media can be a valuable tool for staying informed during a hurricane. However, it is also important to be cautious about the information you are getting from social media. Follow verified accounts from official sources, such as the NHC, NWS, and local emergency management agencies. This will ensure that you are getting reliable information. Social media can also provide real-time updates from people who are in the storm’s path. Be sure to verify the information you are receiving, and do not rely solely on social media for important information. Be careful about sharing information that you have not verified yourself.

Local News Outlets: Local news stations are crucial during hurricane season. They provide localized forecasts, updates, and emergency information. Local news also provides important information about evacuation orders, shelter locations, and other resources. Watch or listen to your local news, especially when a hurricane is approaching. Local news outlets often provide live coverage of the storm and its impacts. They can also provide up-to-date information on road closures, power outages, and other issues affecting your area.

Staying Safe During a Hurricane: Key Tips

Alright, so you’ve tracked the storm, understood the forecasts – now what? Here’s what you need to do to stay safe during a hurricane, focusing on Imilton hurricane landfall considerations.

Prepare Your Home: Start by securing your home. Trim trees and shrubs that could fall and damage your property. Remove any loose objects from your yard that could become projectiles in high winds. Board up windows or install storm shutters to protect them from flying debris. Inspect your roof and make any necessary repairs. Make sure your gutters and downspouts are clean and functioning properly. Ensure you have an emergency kit. Include essentials like food, water, a first-aid kit, medications, flashlights, batteries, and a NOAA weather radio. Having a generator could be very useful as well in case of an electricity failure.

Evacuate if Necessary: Know your evacuation zone and be prepared to evacuate if ordered to do so by local authorities. Follow evacuation orders immediately. Plan your evacuation route and have a designated meeting place. Pack essential items, such as medications, important documents, and personal belongings. Make sure you have enough gas in your car. If you do not have a car, then find a way to get to a safe place. Have a plan for your pets. Ensure they have appropriate identification and are with you during the evacuation.

Stay Informed: Keep an eye on the latest forecasts and warnings. Monitor official sources, such as the NHC, NWS, and local emergency management agencies. Be aware of the potential hazards and how they may affect your area. During the storm, stay indoors and away from windows and doors. Be prepared for power outages and have alternative sources of light. Be aware of the risk of flooding and stay away from flood-prone areas.

After the Storm: Wait until the storm has passed and it is safe to go outside. Be aware of downed power lines and other hazards. Do not go near standing water. Report any damage to your home and property to your insurance company. Help your neighbors and community recover. If you have been evacuated, wait until the authorities have cleared you to return home.

By following these tips, you can greatly increase your chances of staying safe during a hurricane. Remember to always put your safety and the safety of your loved ones first.

Conclusion: Navigating Imilton Hurricane Landfall Predictions

Alright, folks, we’ve covered a lot of ground today! From the science behind Imilton hurricane landfall predictions to the practical steps you can take to stay safe, hopefully, you now have a better handle on what to expect when a hurricane is headed your way.

Remember, these predictions are complex and are constantly evolving. Staying informed and being prepared are your best defenses. Don’t be afraid to ask questions, check multiple sources, and most importantly, listen to your local authorities. Stay safe out there!”