Hurricane Ian 2022: A Category 5 Monster

L.Audent 6 views
Hurricane Ian 2022: A Category 5 Monster

Hurricane Ian 2022: A Category 5 Monster

Hey guys! Let’s dive into the story of Hurricane Ian, a Category 5 behemoth that left a mark in 2022. We’re going to explore its formation, its path of destruction, and the overall impact it had on the areas it affected. Buckle up, because this is a wild ride through one of nature’s most powerful storms.

The Genesis of a Giant

The story of Hurricane Ian begins way out in the warm waters of the Caribbean Sea. Tropical waves, those atmospheric disturbances that drift westward from Africa, are often the seeds of tropical cyclones. In late September 2022, one such wave showed signs of organization. As it interacted with the incredibly warm waters of the Caribbean, it began to spin, drawing energy from the heat and moisture. Atmospheric conditions were just right, with low wind shear—that’s when the wind doesn’t change much in direction or speed with altitude—allowing the storm to grow vertically without being torn apart. The system steadily intensified, gaining strength and structure. By September 26, it had become a tropical storm and was officially named Ian.

From there, things escalated quickly. The storm moved into an environment even more conducive to development. The water was even warmer, and the atmospheric instability was high, meaning the air was primed to rise and fuel the storm’s growth. As Ian churned northward, it rapidly intensified, becoming a hurricane on September 27. The intensification didn’t stop there; in fact, it accelerated. By the time Ian made landfall in Cuba, it was a Category 3 major hurricane, packing winds of over 125 mph. Its passage over Cuba weakened it slightly, but the warm waters of the Gulf of Mexico were waiting to re-energize it.

A Path of Destruction

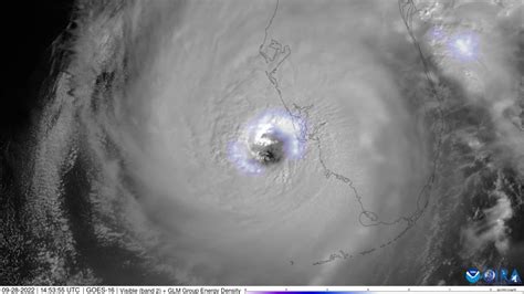
After crossing Cuba, Hurricane Ian found itself in an ideal environment for further intensification. The Gulf of Mexico was unusually warm, providing an abundant source of fuel. The storm re-intensified at an alarming rate, growing in size and strength. By the morning of September 28, Ian had become a Category 4 hurricane, and it continued to strengthen as it approached the coast of Florida. As it neared landfall, something even more concerning happened: Ian reached Category 5 status, with maximum sustained winds of 160 mph. This made it one of the strongest hurricanes ever recorded in the Gulf of Mexico.

The storm made landfall on September 28 near Cayo Costa, Florida, as a Category 4 hurricane with winds of 150 mph. The impact was immediate and devastating. The storm surge, a wall of water pushed ashore by the hurricane’s winds, inundated coastal communities. Fort Myers Beach, Sanibel Island, and other barrier islands were particularly hard hit, with water levels reaching as high as 18 feet in some areas. The combination of the storm surge and the intense winds caused widespread destruction. Homes were ripped from their foundations, buildings were flattened, and debris was scattered everywhere.

As Hurricane Ian moved inland, it continued to wreak havoc. The heavy rainfall led to widespread flooding, inundating streets, homes, and businesses. Rivers overflowed their banks, and entire communities were submerged. The winds, though diminished from their peak intensity, were still strong enough to cause significant damage, knocking down trees, power lines, and signs. Power outages were widespread, and many areas were left without electricity for days or even weeks. The storm eventually weakened as it moved further inland, but the damage had already been done. It continued to dump heavy rain as it crossed the Florida peninsula and emerged over the Atlantic Ocean.

The Aftermath and Impact

The aftermath of Hurricane Ian was a scene of utter devastation. Entire communities were unrecognizable, reduced to piles of rubble. The storm surge had washed away homes, businesses, and infrastructure. Roads were impassable, and bridges were destroyed, cutting off access to many areas. Rescue efforts were immediately launched, with teams working tirelessly to search for survivors and provide aid to those in need. The scale of the disaster was immense, and the recovery process was expected to take years.

The human toll of Hurricane Ian was tragic. Dozens of people lost their lives, and many more were injured. Thousands were displaced from their homes, forced to seek shelter in temporary accommodations. The emotional impact of the storm was profound, with many people traumatized by the experience. The economic impact was also significant, with billions of dollars in damage. Businesses were destroyed, crops were ruined, and tourism was disrupted. The long-term effects of the storm were expected to be felt for years to come.

Beyond the immediate destruction, Hurricane Ian also had significant environmental impacts. The storm surge caused widespread coastal erosion, damaging beaches and wetlands. The heavy rainfall led to polluted runoff, contaminating waterways and harming aquatic life. The storm also disrupted ecosystems, damaging forests and wildlife habitats. The recovery process would need to address these environmental impacts as well.

Lessons Learned and Moving Forward

Hurricane Ian served as a stark reminder of the power of nature and the importance of preparedness. The storm highlighted the vulnerability of coastal communities to hurricanes and the need for better building codes and land-use planning. It also underscored the importance of evacuation orders and the need for people to heed warnings from emergency officials. The storm also raised questions about climate change and its potential impact on hurricane intensity and frequency. As the climate continues to warm, it’s possible that we’ll see more intense hurricanes in the future, making it even more important to prepare and adapt.

The recovery from Hurricane Ian was a long and challenging process. It required a coordinated effort from government agencies, non-profit organizations, and the private sector. The focus was on providing immediate relief to those in need, clearing debris, and rebuilding infrastructure. It also involved addressing the long-term needs of the community, such as housing, healthcare, and economic development. The recovery process was an opportunity to build back stronger and more resilient communities, better prepared for future storms.

Hurricane Ian was an incredibly powerful and destructive storm. Its impact was felt across a wide area, and the recovery process will take years . The storm serves as a reminder of the importance of preparing for hurricanes and taking steps to protect ourselves and our communities. By learning from this experience, we can be better prepared for future storms and build a more resilient future.

Category 5 Hurricanes: A Deeper Dive

So, what exactly makes a Category 5 hurricane so terrifying? These storms represent the pinnacle of hurricane intensity on the Saffir-Simpson Hurricane Wind Scale. To reach this category, a hurricane must have sustained winds of at least 157 mph (252 km/h). But it’s not just about the wind speed; the destructive potential is immense. At this level, a hurricane can cause catastrophic damage. A high percentage of framed homes will be destroyed, with total roof failure and wall collapse. Fallen trees and power poles will isolate residential areas. Power outages will last for weeks, possibly months. Most of the area will be uninhabitable for weeks or months.

The formation of a Category 5 hurricane requires a perfect combination of environmental factors. Warm ocean waters, typically at least 82°F (28°C), provide the necessary energy to fuel the storm. Low wind shear allows the storm to organize and intensify without being torn apart. High atmospheric instability encourages the air to rise and fuel the storm’s growth. These conditions are relatively rare, which is why Category 5 hurricanes are not as common as weaker storms. However, when they do form, they pose a significant threat.

Historically, some of the most devastating hurricanes in history have been Category 5 storms. Hurricane Katrina in 2005, which devastated New Orleans, was a Category 5 at its peak . Hurricane Wilma in 2005 was the most intense hurricane ever recorded in the Atlantic basin . Hurricane Dorian in 2019, which stalled over the Bahamas, caused catastrophic damage and loss of life . These storms serve as a reminder of the destructive potential of Category 5 hurricanes and the importance of preparedness. It’s essential to stay informed, heed warnings from emergency officials, and take steps to protect ourselves and our communities.

Conclusion

Hurricane Ian was a monster of a storm, a Category 5 hurricane that left an indelible mark on the landscape and the lives of those in its path. From its formation in the warm waters of the Caribbean to its devastating landfall in Florida, Ian was a force to be reckoned with. The storm caused widespread destruction, loss of life, and significant economic and environmental impacts. The recovery process was long and challenging, but it also provided an opportunity to build back stronger and more resilient communities. By learning from this experience, we can be better prepared for future storms and protect ourselves and our communities. Remember guys, always stay informed, be prepared, and take warnings seriously. Mother Nature is powerful, and we need to respect her.