Hurricane Aaron: Satellite Images & Tracking

L.Audent 48 views
Hurricane Aaron: Satellite Images & Tracking

Hurricane Aaron: Satellite Images & Tracking

Hey guys! Ever wondered what it’s like to see a hurricane from space? Well, buckle up, because we’re diving headfirst into the world of satellite pictures of Hurricane Aaron ! We’ll explore how these incredible images are captured, what they tell us about the storm’s power, and how they help meteorologists predict its path. It’s pretty amazing stuff, so let’s get started.

Unveiling the Power of Satellite Imagery

So, first things first: How do we even get these awesome satellite images? Well, it’s a bit like having a bunch of super-powered eyes floating around in space. There are tons of satellites orbiting Earth, and many of them are equipped with special instruments designed to ‘see’ the planet in different ways. Some satellites use visible light, just like your eyes, to capture images of the clouds, the ocean, and the land below. These are the kind of images that give us those dramatic views of Hurricane Aaron, showing its swirling shape and imposing size. Other satellites use infrared or microwave sensors. Infrared sensors measure the heat emitted by objects, allowing us to see the temperature of cloud tops, which helps determine the intensity of the storm. Microwave sensors, on the other hand, can ‘see’ through clouds and rain, providing valuable data about the storm’s structure and the amount of rainfall. It’s like having a superpower that lets us peer right into the heart of the hurricane! And all this info is like the key ingredients to understanding Aaron and other storms.

Now, you might be thinking, “Okay, cool, but how does all this data help?” Well, the satellite data is absolutely crucial for tracking hurricanes. Think of it like this: meteorologists use this info, along with other data from weather stations, aircraft, and computer models, to create a complete picture of the storm. They can track the hurricane’s position, measure its wind speed, and monitor its intensity. They can also see how it’s changing over time. For example, if the storm is getting stronger, the satellite images will show a more organized and symmetrical structure, with a well-defined eye and intense bands of thunderstorms. On the other hand, if the storm is weakening, the images will show a less organized structure, with a less distinct eye and weaker thunderstorms. This info is fed into computer models that help predict the hurricane’s future path and intensity, allowing authorities to issue warnings and people to prepare.

But wait, there’s more! Satellite imagery isn’t just about pretty pictures. It also provides a ton of information about the environment around the hurricane. For instance, satellites can measure the sea surface temperature. This is a crucial factor that fuels hurricanes because warm water provides the energy that powers the storm. By monitoring sea surface temperatures, scientists can predict where hurricanes are likely to form and how strong they might become. They can also track the movement of the hurricane and see if it’s interacting with any other weather systems that might influence its path. So, these images are not just a way to see a hurricane; they are a window into understanding the complex forces that shape our weather. The details provided by these satellites help us understand the behavior of Hurricane Aaron and other similar weather events. Pretty neat, right?

Decoding the Data: What Satellite Pictures Tell Us

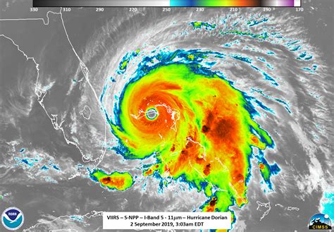
Alright, let’s dive into what you can actually see in these satellite pictures of Hurricane Aaron and what all those colors and shapes actually mean. When you look at a satellite image of a hurricane, the first thing that probably jumps out at you is its shape. Hurricanes are typically circular, with a central eye and spiraling bands of thunderstorms. The eye is the calmest part of the storm, with relatively clear skies and light winds, while the eyewall is the area surrounding the eye, where the strongest winds and heaviest rainfall occur. The spiraling bands of thunderstorms are the outer rain bands, which can also bring strong winds and heavy downpours. It’s like a giant spinning top, but with a lot more power.

The colors you see in the images are another key piece of the puzzle. They usually represent the temperature of the cloud tops. Colder cloud tops are often associated with the most intense thunderstorms and the heaviest rainfall. In infrared images, for example, the coldest cloud tops are often shown in shades of red or purple, while warmer cloud tops are shown in shades of yellow or orange. This information helps meteorologists assess the intensity of the storm and track its changes over time. So, if you see a lot of red and purple in a satellite image, you know that the hurricane is packing a serious punch. These color-coded images make it easy to see which parts of the hurricane are most dangerous, allowing people to take the right precautions. This information is especially important when dealing with satellite pictures of Hurricane Aaron .

Besides temperature, satellite images can also show the distribution of water vapor in the atmosphere. Water vapor is a key ingredient for hurricanes because it provides the moisture that fuels the storm. Satellites can measure the amount of water vapor in the air, allowing meteorologists to track the movement of moisture around the hurricane and predict where the storm is likely to intensify. Areas with high concentrations of water vapor are often associated with heavy rainfall and strong thunderstorms. You can use these clues to better understand what you are seeing. You’ll also learn to understand how meteorologists make their predictions. Overall, the colors, shapes, and patterns you see in satellite images are all clues that help scientists understand what is going on with the storm. These images are like a secret code, and meteorologists are the codebreakers! With this information, they can give warnings about the satellite pictures of Hurricane Aaron and other storms.

Real-Time Tracking: How Satellites Monitor Hurricanes

Alright, let’s talk about how all this data comes together in real time to track a hurricane like Aaron. It’s not like the satellites just take a picture and then call it a day. They’re constantly gathering data and feeding it back to Earth, allowing meteorologists to monitor the storm’s every move. It’s like having a live video feed of the hurricane! And the more info we get, the better we can understand what’s happening.

The process starts with the satellites themselves. As they orbit the Earth, they use their special sensors to scan the atmosphere and the ocean. They collect data on everything from wind speed and temperature to the amount of rainfall and the height of the waves. This information is then beamed back to ground stations, where it is processed and analyzed. Think of it as a constant stream of information coming from space. And the speed of this data flow is one of the most remarkable things about modern weather forecasting. It’s the reason why the forecasts are so much better than they used to be.

Once the data arrives at the ground stations, it’s time for the meteorologists to get to work. They use sophisticated computer models and their own expertise to analyze the data and create a detailed picture of the storm. They track the hurricane’s position, measure its wind speed, and monitor its intensity. They also look for any changes in the storm’s structure or behavior that might indicate it’s about to strengthen or weaken. This is where those satellite pictures of Hurricane Aaron come in! The meteorologists use the imagery to see the big picture. When you can see the hurricane as a whole, it helps put all the other data points in context.

All this information is then used to create forecasts, which are constantly updated as new data becomes available. Meteorologists use these forecasts to predict the hurricane’s future path and intensity, and they issue warnings to the public. These warnings include information about the expected winds, rainfall, and storm surge, which can help people prepare for the storm and stay safe. So, when you see a hurricane warning on the news, you can be sure that it’s based on the most up-to-date information available, thanks to the constant monitoring provided by satellites. The information helps protect people from the dangers of the satellite pictures of Hurricane Aaron and other storms.

The Future of Hurricane Tracking with Satellites

So, what’s next? The future of hurricane tracking with satellites is looking seriously bright! Scientists are constantly working on new technologies to improve our ability to observe and understand these powerful storms. One of the most exciting areas of research is the development of new types of sensors. These new sensors can see things that were previously invisible, providing even more detailed information about hurricanes. For example, some satellites are equipped with instruments that can measure the wind speed at the surface of the ocean, which is a crucial factor in determining the storm’s intensity. Others can measure the amount of rainfall even more accurately, helping to predict flooding and other hazards. The new tech is really something!

Another major development is the increasing use of artificial intelligence (AI) and machine learning in hurricane forecasting. AI algorithms can analyze vast amounts of data from satellites and other sources, and they can identify patterns and trends that humans might miss. This can lead to more accurate forecasts and earlier warnings, giving people more time to prepare for a storm. Imagine that – even more accurate warnings and more time to get ready. It’s like having a crystal ball, but instead of magic, it’s based on science and technology. So, in the years to come, we can expect to see even more sophisticated satellite imagery, more accurate forecasts, and more effective warnings. And that’s all thanks to the incredible advances in satellite technology and the tireless work of scientists and meteorologists who are dedicated to understanding and protecting us from these powerful storms. This research can improve our understanding of the satellite pictures of Hurricane Aaron and also helps protect people from other storms. And that’s what we’re all about!

Conclusion: The Importance of Satellite Imagery

So, there you have it, guys! We’ve taken a deep dive into the world of satellite pictures of Hurricane Aaron , exploring how these images are captured, what they tell us about the storm’s power, and how they help meteorologists predict its path. We’ve learned that satellite imagery is absolutely crucial for tracking hurricanes, providing valuable information about the storm’s position, intensity, and structure. It also provides a ton of information about the environment around the hurricane, such as sea surface temperatures and the amount of water vapor in the atmosphere. This information is used to create forecasts, issue warnings, and help people prepare for the storm. It’s a key part of protecting lives and property during hurricane season.

As technology continues to advance, we can expect to see even more sophisticated satellite imagery and more accurate forecasts. With the use of new sensors, AI, and machine learning, scientists are constantly improving our ability to observe and understand these powerful storms. So the next time you see a satellite image of a hurricane, remember that it’s not just a pretty picture. It’s a window into understanding the complex forces that shape our weather and a vital tool for protecting us from the dangers of these incredible storms. Pretty awesome, right? Thanks for joining me on this exploration, and stay safe out there! Remember, knowledge is power, and knowing what you’re looking at with those satellite pictures of Hurricane Aaron can help you stay safe and be prepared! Remember to check your local weather forecasts and heed any warnings that are issued. Stay safe and sound, folks!