Beryl's Path: Live Hurricane Tracker & Radar Updates
Beryl’s Path: Live Hurricane Tracker & Radar Updates
Hey everyone, let’s dive into the fascinating world of pseihurricanese tracker live radar beryl ! We’re going to break down everything you need to know about tracking hurricanes, understanding live radar, and specifically, keeping tabs on a storm named Beryl. This is super important, especially during hurricane season, because knowledge is power, right? The ability to follow these powerful weather systems in real time can make a massive difference in staying safe and informed. So, whether you’re a seasoned weather enthusiast or just someone looking to stay prepared, this guide is for you. We’ll explore the tools and techniques used to monitor hurricanes like Beryl, giving you a clear picture of how these systems work and how to stay ahead of the game. Let’s get started and make sure you’re equipped with the information you need to weather the storm! Remember, safety always comes first, so let’s learn how to stay informed and ready.
Table of Contents
- Understanding Hurricane Tracking and Live Radar
- Tools and Technologies for Hurricane Monitoring
- Tracking Hurricane Beryl: What to Look For
- Using Live Radar and Weather Apps for Real-Time Updates
- Safety Precautions and Preparedness Tips for Hurricane Season
- Where to Find Official Hurricane Information and Resources
- Conclusion: Staying Informed and Prepared
Understanding Hurricane Tracking and Live Radar
Alright, folks, first things first: let’s get a handle on what hurricane tracking and live radar actually are . When we talk about hurricane tracking , we’re referring to the process of monitoring a storm’s current location, its predicted path, its intensity, and its potential impact. This involves a combination of satellite imagery, ground-based radar, weather models, and observations from aircraft that fly directly into the storm. Meteorologists analyze all this data to create forecasts that predict where a hurricane is headed and how strong it will be. It’s like a complex puzzle where every piece of data provides a clue about the storm’s behavior. These forecasts are constantly updated as new information comes in, so it’s essential to stay informed about the latest predictions. This constant update is what makes tracking so dynamic and so crucial to understanding the potential threat. The goal? To give people time to prepare and protect themselves from the storm’s fury.
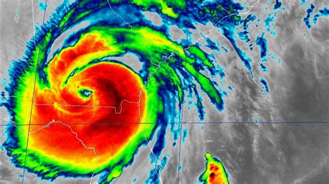
Now, let’s switch gears and talk about live radar . Imagine this: you’re looking at a constantly updated map showing you where the rain is falling, how intense it is, and where it’s moving. That’s essentially what live radar does. It uses radio waves to detect precipitation, providing real-time information about the storm’s structure. This is a critical tool for identifying the storm’s size, its intensity, and its movement. It can show you things like where the heaviest rainfall is occurring, whether there are any thunderstorms, and even the potential for tornadoes. Live radar is often integrated with other data, like satellite imagery and weather models, to give you a complete picture of the weather situation. Think of it as your eye in the sky, constantly scanning the atmosphere and providing updates every few minutes. So, whether you’re trying to decide if you need an umbrella or are preparing for a hurricane, live radar is an indispensable resource. It’s the ultimate tool for staying informed and prepared for whatever the weather throws your way.
Tools and Technologies for Hurricane Monitoring
Okay, let’s get into the nitty-gritty of the tools and technologies used to monitor hurricanes. We’re not just talking about looking at a map; there’s a whole lot of science and technology behind the scenes! First up, we have weather satellites . These amazing machines orbit the Earth, constantly collecting data about the atmosphere. They provide images of cloud formations, track the movement of storms, and measure things like sea surface temperatures. These satellites are like the global eyes of the weather, giving us a broad overview of conditions. Next, we have Doppler radar . This is the same type of radar used in live radar systems. Doppler radar can measure the intensity of precipitation, but it can also detect the movement of the air within a storm. This is super helpful for identifying things like the rotation of a hurricane’s eyewall and the potential for tornadoes. It’s like having a super-powered pair of ears that can hear the secrets of the storm!
Then, we have weather models . These are complex computer programs that use mathematical equations to simulate the atmosphere. They take all the data from satellites, radar, and other sources, and then they predict what the weather will look like in the future. Weather models are constantly being improved, but it’s important to remember that they are just that, models. They provide a range of possible outcomes, but they are not always 100% accurate. Finally, we have hurricane hunter aircraft . These brave planes fly directly into hurricanes, collecting data that cannot be gathered from satellites or radar. They measure things like wind speed, air pressure, and temperature, providing valuable information about the storm’s structure and intensity. This is the cutting edge of hurricane monitoring, putting scientists right in the middle of the action. All of these tools work together, providing a comprehensive picture of a hurricane and helping forecasters predict its behavior. So, next time you check the weather, remember all the incredible technology that’s working behind the scenes to keep you informed and safe.
Tracking Hurricane Beryl: What to Look For
So, you want to follow Hurricane Beryl ? Awesome! Here’s what you need to keep your eyes peeled for. First, pay close attention to the storm’s location and predicted path . Hurricane tracking maps typically show the storm’s current location, its projected path over the next few days, and a cone of uncertainty. The cone represents the area where the storm could potentially go. It’s not a guarantee, but it helps you visualize the possible scenarios. Next, watch the storm’s intensity . This is measured by the Saffir-Simpson Hurricane Wind Scale, which ranges from Category 1 (weakest) to Category 5 (most intense). The scale is based on the storm’s sustained wind speeds. It’s crucial to understand the potential strength and impact the storm could have on your area.
Then, keep an eye on the size of the storm . A larger storm will affect a larger area, even if its winds aren’t as strong. This is about understanding the potential for widespread impacts such as heavy rainfall, storm surge, and high winds. Check rainfall forecasts – hurricanes often bring torrential rain that can lead to flooding. Look for the potential for storm surge . This is the rise in sea level caused by the storm’s winds pushing water toward the coast. It is often the deadliest hazard associated with hurricanes. And finally, pay attention to any warnings and watches issued by your local weather authorities. A hurricane watch means hurricane conditions are possible within the next 48 hours, while a hurricane warning means hurricane conditions are expected within the next 36 hours. These warnings are critical for taking action and preparing for the storm. By paying attention to these factors, you’ll be well-equipped to track Hurricane Beryl and understand its potential impact. Remember, the information is constantly changing, so stay up-to-date with the latest forecasts and warnings.
Using Live Radar and Weather Apps for Real-Time Updates
Alright, let’s talk about the practical side of things: how to use live radar and weather apps to get real-time updates on Hurricane Beryl . First off, there are a ton of excellent weather apps available for your phone. These apps typically offer live radar maps, showing you the location and intensity of precipitation in real-time. Look for apps that provide detailed information about the storm’s track, intensity, and potential impacts. Many apps also send push notifications to alert you about severe weather alerts and warnings.
When using live radar, focus on a few key things. Look for the storm’s center (the eye) and track its movement over time. Observe the intensity of the precipitation, paying attention to areas of heavy rainfall. Check for any signs of rotation within the storm, which could indicate the potential for tornadoes. Some apps also provide information about wind speeds, storm surge, and potential flooding. Also, make sure you know how to read the radar imagery. Colors typically indicate the intensity of precipitation, with brighter colors representing heavier rainfall. Learn the symbols used to show the storm’s track, predicted path, and cone of uncertainty. These symbols are essential to interpreting the data and understanding the potential threat. Finally, remember that weather apps are just one part of the equation. Always consult official sources, such as the National Hurricane Center (NHC) and your local weather authorities, for the most accurate and up-to-date information. By combining the power of weather apps with official sources, you’ll be able to stay informed and prepared during a hurricane like Beryl.
Safety Precautions and Preparedness Tips for Hurricane Season
Okay, folks, let’s get serious about safety. During hurricane season, there’s no room for complacency. Being prepared can make a huge difference! First and foremost, create a family emergency plan . This should include a meeting place, a communication plan, and a list of important contacts. Make sure everyone in your family knows the plan. Next, build an emergency kit . This should include essential items like water, non-perishable food, a first-aid kit, a flashlight, batteries, a radio, and any necessary medications. You may need to survive on your own for several days after the storm.
Then, know your evacuation zone . If you live in an area that is prone to flooding or storm surge, you may need to evacuate. Know your zone and be prepared to leave if ordered by local authorities. Secure your home . Bring in any loose objects from your yard, such as lawn furniture, trash cans, and outdoor decorations. Board up windows or install storm shutters to protect against wind damage. Trim trees and bushes that could fall on your house. Protect your property . Consider flood insurance if you live in a flood-prone area. Take photos of your home and possessions for insurance purposes. Stay informed . Monitor the weather forecasts and warnings from official sources. Follow the instructions of local authorities. Don’t take any unnecessary risks. During the storm , stay indoors and away from windows and doors. Avoid contact with floodwater. If you evacuate, do so early and follow the evacuation routes provided by local authorities. After the storm, be careful of downed power lines and damaged structures. Report any damage to your local authorities. By taking these precautions and being prepared, you can significantly increase your safety during hurricane season.
Where to Find Official Hurricane Information and Resources
Where do you go to get the real info on Hurricane Beryl and other storms? Look no further than these official sources. First and foremost, the National Hurricane Center (NHC) is the go-to source for hurricane information. They provide detailed forecasts, track maps, and warnings. Check out their website for the latest updates. Then, there’s the National Weather Service (NWS) . This is a branch of the NHC. The NWS provides local weather forecasts and warnings for your specific area. You can find your local office by searching on the internet. Another critical resource is your local emergency management agency . These agencies are responsible for coordinating the response to disasters in your community. They can provide valuable information on evacuation procedures, shelters, and other resources.
Then, there are the reliable weather apps and websites . Choose reputable apps and websites that get their data from official sources, and make sure that the information is updated regularly. Stay away from unverified information on social media. Social media can be a good source of information, but it can also be a source of misinformation. Always check information with official sources. Consider local news outlets . Local news stations often provide live coverage of hurricanes, including real-time updates and interviews with local officials. By using these resources, you can stay informed about Hurricane Beryl and any other storms that may impact your area. Remember, staying informed is the key to staying safe during hurricane season!
Conclusion: Staying Informed and Prepared
So, there you have it, folks! We’ve covered a lot of ground today, from the basics of hurricane tracking and live radar to the tools and technologies used to monitor these storms, and, of course, how to track Beryl . We talked about safety precautions and where to find the official information you need to stay safe. Remember, the key to surviving and weathering a hurricane is to stay informed, be prepared, and stay safe. Follow official sources, have a plan, and be ready to act when necessary. Be proactive, not reactive. Take the time to create a family emergency plan, build an emergency kit, and know your evacuation zone. During hurricane season, staying informed and prepared can make a huge difference in protecting yourself and your loved ones. So, keep an eye on those weather updates, pay attention to the warnings, and always put your safety first. Remember, we’re all in this together, so let’s look out for each other and weather the storm. Stay safe out there, and always be prepared for whatever nature throws your way! Thanks for tuning in, and stay safe!